L'actualité météo dans le monde en ce mois de mai 2020
La première partie du mois de mai a été marquée par des conditions hivernales tardives en Europe et en Amérique du Nord mais des anomalies chaudes importantes concernent le bassin méditerranéen. Tour d'horizon de l'actualité météo dans le monde.
Europe
Le printemps a bien du mal à s'affirmer en ce mois de mai sur le continent européen, balayé ces dernières heures par un vaste front froid ayant fait chuter les températures et apporté des conditions hivernales dans plusieurs pays.

Températures en Europe en après-midi du lundi 11 mai 2020 - via meteociel.fr
Un important décrochage d'air polaire a envahi de nombreux pays d'Europe au cours des dernières heures, associé à un front froid actif s'étendant sur plus de 4000 kilomètres entre la France et l'ouest de la Russie. Ce dernier a brutalement chassé l'air chaud qui concernait encore de nombreux pays européens ce week-end, apportant des contrastes thermiques particulièrement prononcés en l'espace de 24 heures.
Comme l'illustre la carte ci-dessus, les températures ont souvent perdu 10 à 20°C en l'espace de 24 heures après le passage du front froid. Du nord de la France jusqu'à la Pologne, plusieurs régions sont passées d'une ambiance estivale à des conditions dignes de l'hiver ! Chez nous, Strasbourg fut le parfait exemple avec 28°C dimanche après-midi contre 5°C en après-midi de lundi !

Neige à très basse altitude dans le sud-ouest de la Pologne ce 12 mai 2020 - photo Szawe? Nicetas
En Allemagne et en Pologne, le front froid s'est également accompagné de précipitations sous forme de neige jusqu'aux altitudes les plus basses. Par endroits, les flocons sont tombés en régions de plaine et les sols ont blanchi dès les premières hauteurs. Ce fut notamment le cas ce mardi 12 mai en Basse-Silésie dans le sud-ouest de la Pologne où les paysages ont retrouvé des couleurs hivernales - un comble après un hiver historiquement doux et pauvre en neige !

Températures maximales attendues dans les Balkans ce samedi 13 mai 2020 - via wetteronline
En lien avec ce coup de froid, l'anomalie dépressionnaire présente vers le Portugal entraîne un flux de sud très dynamique sur le sud du continent, faisant remonter de l'air très chaud entre le sud de l'Italie et les Balkans. Déjà ce mercredi 13 mai, le thermomètre a dépassé les 38°C à Palerme dans le nord de la Sicile par effet de foehn ! D'ici samedi, le mercure devrait atteindre et même dépasser la barre des 40°C localement entre Grèce et Turquie !
Amérique du Nord
De l'autre côté de l'Atlantique, l'Amérique du Nord a elle aussi beaucoup de mal à basculer dans le printemps. Depuis le début du mois, des conditions hivernales touchent le nord-est du continent.

Situation le 9 mai 2020 avec une vaste coulée froide sur le nord-est du continent - via wetter3.de
L'Europe n'est pas la seule à vivre des sensations hivernales tardives. L’hiver joue aussi les prolongations sur le nord de l'Amérique depuis le début du mois de mai. Le Canada et le nord-est des États-Unis ont vécu un épisode de froid et de neige tardif ces derniers jours. En cause, une masse d’air en provenance de l’Arctique qui s’est enfoncée jusqu'à des latitudes anormalement basses pour la saison, apportant de véritables conditions hivernales.
Whiteout conditions under this very heavy band of snow in Margaretville, New York. Almost 1in per hour rates! Can’t believe this is may 9th! pic.twitter.com/XwbIIdZpnb
— Nicholas Isabella (@NycStormChaser) May 9, 2020
Chutes de neige sur Margaretville dans l'État de New York le 9 mai 2020
Ce week-end, la neige s'est invitée du Maine jusqu’à l’État de New York, tombant jusqu'à Boston ou Manhattan. Cette neige a tenu au sol jusqu'à très basse altitude, replongeant des régions entières dans l'hiver. Plus impressionnant encore, les flocons se sont invités sur New York le 9 mai (sans tenir au sol) ! Il s'agit de l'observation de neige la plus tardive sur la ville, à égalité avec le 9 mai 1977 ! L'hiver avait pourtant été extrêmement pauvre en neige sur New York.

La ville de Québec sous la neige ce mardi 12 mai 2020 - photo Radio Canada
Après cette première partie du mois de mai plus hivernale que printanière, le froid recule et les perspectives sont plus douces. Les dernières chutes de neige concernaient encore Québec et sa région ce mardi 12 mai comme le montre la photo ci-dessus, prise en plein coeur de la ville. Les températures progresseront de 10 à 15°C degrés d'ici le week-end !
Amérique du Sud
En plein coeur de l'automne, l'actualité météo est plutôt tranquille sur le continent sud-américain avec des conditions assez classiques pour la saison.

Températures observées en Amérique du Sud lors de l'après-midi du mardi 12 mai 2020 - via windy.com
Si un petit coup de fraîcheur concerne l'Uruguay et que le sud du continent entre désormais dans la saison froide, le Brésil bénéficie de températures chaudes et bien souvent supérieures aux 30°C, une situation qui n'a rien d'exceptionnel dans le pays à cette saison.

Les plages de Rio sont désertes ce mercredi 13 mai 2020 - via earthtv
En ces temps où voyager n'est plus possible, les plages de Rio font rêver. Toutefois, même les Brésiliens ne peuvent pas en profiter malgré un soleil généreux et des températures affichant 26°C. En début de semaine, le pays a renforcé les mesures de confinement dans plusieurs régions, dont Rio.
Afrique
Si les conditions météorologiques sont classiques pour la saison sur le centre et le sud de l'Afrique, des anomalies chaudes très prononcées concernent actuellement le nord du continent.

Modélisation des températures pour le mercredi 13 mai 2020 - via MeteoGroup
Le nord du continent africain surchauffe à l'heure actuelle ! Si le Maroc fait office d'exception avec des conditions fraîches et instables en marge d'une goutte froide sur le Portugal, cette dernière favorise un afflux d'air excessivement chaud sur l'est du Maghreb. L'est de l'Algérie et la Tunisie sont concernés par des températures anormalement élevées pour la saison.
Ce mercredi 13 mai, le thermomètre s'est envolé sur l'est du Maroc. On a relevé 44°C à Hassi-Messaoud où la normale à cette saison se situe dix degrés en dessous ! Le sud de la Tunisie est également en surchauffe. Ce 13 mai, la température maximale atteint près de 45°C à El Borma, une chaleur exceptionnelle aussi tôt dans la saison !
Asie
En Asie aussi, l'actualité météo est relativement classique en cette première partie du mois de mai, alors que débute la saison de la mousson dans plusieurs pays. C'est un typhon aux Philippines qui monopolise l'attention.

Prévision de la trajectoire et de l'intensité de la dépression Vongfong vers les Philippines
La dépression Vongfong s'est formée au large des Philippines et s'est s'intensifiée en tempête tropicale. Vongfong devrait évoluer dans les prochaines heures en typhon de catégorie 1 avant d'atteindre le centre-est de l'archipel. Les vents pourront aller jusqu'à 130 km/h sur le centre des Philippes. Le phénomène devrait ensuite remonter vers le nord du pays en s'affaiblissant peu à peu.

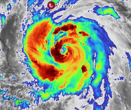
La tempête tropicale Vongfong avait déjà développé un oeil ce mercredi 13 mai 2020 - via windy.com
Preuve de l'intensification du phénomène, la tempête tropicale avait déjà développé un oeil ce mercredi. Vongfong devrait s'accompagner de fortes pluies, faisant craindre des inondations dans certains secteurs de l'archipel. Le pays est en alerte, d'autant que le confinement lié à la pandémie de coronavirus pourrait compliquer d'éventuelles opérations d'évacuation.
Océanie
Le calme règne actuellement sur l'Océanie et ce n'est pas une mauvaise nouvelle pour cette partie du globe qui a longtemps fait l'actualité pour ses incendies majeurs et plus récemment pour ses intempéries.

Puissant anticyclone sur le sud de l'Australie ce 13 mai 2020 - via tropicaltidbits.com
Après les pluies et les orages observés en Australie au cours du mois d'avril, les conditions météorologiques sont nettement plus calmes sur le pays en cette première partie du mois de mai, sous la protection d'un puissant anticyclone centré sur le sud de l'Australie et qui protège pratiquement toutes ses régions. Les pressions sont élevées jusqu'en Nouvelle-Zélande.
Une nette dégradation du temps est attendue sur le sud du pays en début de semaine prochaine. En effet, une dépression dynamique prendra la place de l'anticyclone dès la journée du lundi 18 mai. N'oublions pas que cette partie du monde se dirige à présent vers l'hiver.
.png&w=640&q=75)


